Segment 2
![]() |
Where: US 220, From NC 68 to US 220-NC 68 ConnectorLength: 4 MilesStatus:
COMPLETE
|
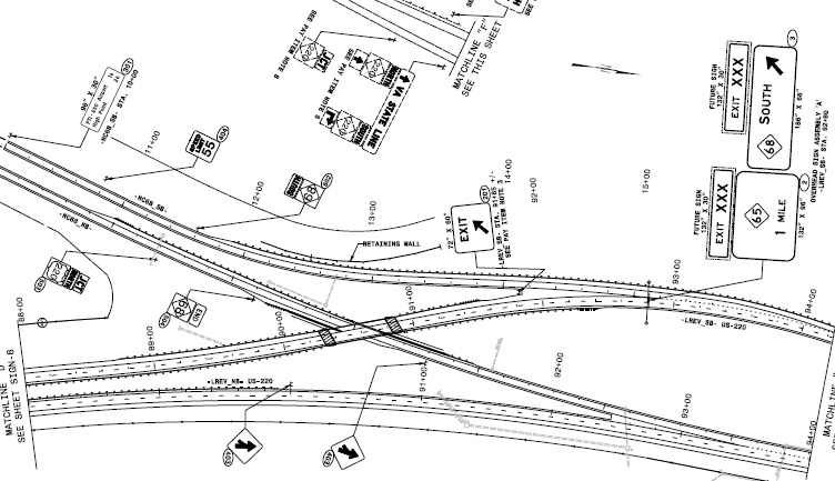
South of NC 68, US 220 was mostly a two-lane roadway. As part of a project that built the 'NC 68-US 220 Connector' north of Greensboro (Project No. R-2413, see Segment 3 below), NCDOT upgraded the highway to a four-lane freeway for about 4 miles between the NC 68 intersection and the Connector completed earlier in 2017 just south of the Haw River. Work on this segment, Contract R-2413C, started in May 20121 (delayed from 2010) and has fell significantly behind the project completion schedule which was listed as January 25, 2018. As of March 15, 2018 the project was listed as 83.3% complete, only .3% more than in January.2 To illustrate the slow progress rate, in July 2013, more than 4 1/2 years ago, the project was 21.5% complete.3 In August 2015, NCDOT finally admitted the project would not be completed on time and pushed completion back to June 19, 2017.2 In June 2016, the completion date was pushed back again to January 25, 2018.2 However, a news report in early April 2017 indicated that NCDOT hoped to open the route by October 20174, an NCDOT official indicated in August 2017 that the hopeful date was October 18, but that was then delayed into late December.5 The two southbound lanes were opened as of December 21 from NC 68 to the US 220 exit, the two northbound lanes were opened on December 22. Though now open to traffic there still were no I-73 signs along the roadway at the beginning of February 2018.6 This was remedied by the installation of ground-mounted signs in late March 2018, the road was finished, but technically not complete. Adding I-73 exit tabs to the existing exit signs did not take place until April. Complicating completion on the route was a decision by NCDOT to change the plans at the northern end of the project from a re-worked intersection with NC 68 that included a traffic signal to a more complicated flyover ramp for US 220 South to cross over NC 68. NCDOT held a public meeting to inform the public in January 2014 from which planners were to resubmit the design for the interchange.7 NCDOT then decided to let this as a separate project, Contract C203645 awarded on June 16, 2015. Construction started on Sept. 16, 2015 and, as of March 7, 2018 was still was listed as 90.4% complete (a .1% increase since January, this project is also going slow, it was supposed to be 99.9% complete by that time though).8 Despite the project's slow pace, the future I-73 South roadway that it, along with the new off-ramp to NC 68, was opened in May 2017 (see photos below). The project plans, released on May 19, 2015, revealed the following design for the new interchange (based on other contract documents, the number for the NC 68 exit will be 123, while the NC 65 exit will be 122):

The NC 68 project was awarded on July 7, 2015 to Branch Highways Inc. out of Roanoke, VA for $14 million.10 The total cost for the entire project (right-of-way and construction) is now budgeted at around $223 million.11 Initially, the roadway was not to be built to Interstate standards, but only at a 60 MPH limited access highway. However, this changed when the Connector project to the south was advanced to be completed around the same time both segment are now to be signed as I-73, with a 65 MPH speed limit, when completed.12,13
The US 220 South ramp from I-73 South is a flyover bridge that goes over both the Haw River and then I-73 to its current alignment (for a link to the plans see I-73 Segment 3). Work to complete this flyover was completed during the fall of 2014 and US 220 traffic was rerouted onto it soon after (see photos below). The US 220 project was to be mostly completed before work on the Connector to NC 68 was finished, however this did not happen with the many project delays. (For an NCDOT diagram of the entire project go to the Project page.)
I-73 North from Exits 117 to 123 (Includes part of Segment 3)
I-73 South from Exits 123 to 117
Beginning of I-73 South: Just
North of NC 68 Exit
I-73/US 220 South: At
NC 65 Exit Off-Ramp
I-73/US 220 North at US 158: At
US 158 East On-Ramp
US 220 North at I-73 North: On
US 220 North On-Ramp
An auxiliary sign for PTI Airport to use I-73 is
placed before I-73 South starts at the NC 68 exit.
The first South I-73 mile marker is in place before
the NC 68 exit.
The overhead signs at the start of I-73 South at
the NC 68 exit.
The rather plain 3/4 mile advance sign for the NC
65 exit.
It's a rather small overhead sign for the NC 68
exit.
The seemingly much larger gore sign at the NC 65
exit.
The 1 Mile advance sign for the US 158 exit on I-73
and US 220 South.
An auxiliary sign for Winston-Salem approaching the
US 158 exit.
The overhead signs at the US 158 exit on I-73 and
US 220 South, sorry for the truck.
The overhead signs prior to the split of I-73 South
with US 220 South.
The overhead signage at the I-73 South/US 220 South
split.
Recently placed blue services
sign for the US 158 exit on I-73 North.
Along with a new exit sign,
though NC 65 is not worthy enough of a destination (the exit is in
Stokesdale).
This median sign announcing entry
into the Roanoke River basin has replaced a similar one that was by the
right shoulder, see photos below.
North I-73/US 220 North
just after the US 158 exit, the last exit in Guilford County.
The first North I-73/US
220 reassurance markers in Rockingham County.
The temporary NC 65
trailblazer put up prior to the route opening (see photos below) has
still not been replaced by a guide sign on I-73 North.
The gore sign was placed
in time for the road opening, and is still there.
There is also a small sign
announcing that I-73/US 220 North (with post-NC 65 exit reassurance
markers in distance) is entering the Roanoke River Basin.
Looking toward current end
of I-73 at the on-ramp from NC 68 in Rockingham County, and the
reduction of the speed limit to 55 mph.
The previously placed
1-Mile Advance sign for US 158 after the merge with US 220 North now has
an exit tab.
Overhead advance and exit
signs at the US 158 exit on I-73/US 220 North also now have exit tabs.
Meanwhile, for some reason the existing NC 65 sign's references to NC 68
South have been removed, possible to duplicate the information on the
southbound signs.
Now headed southbound in
Rockingham County, the overhead signs at the NC 68 South off-ramp also
have new exit number tabs.
Newly placed I-73 South
reassurance marker has been joined by a fairly large US 220 South marker
on 2 posts beyond the NC 68 exit on-ramp.
Overhead signage at the NC
65 exit also with new exit number tabs. The NC 65 tab being wider than
the sign below.
Overhead signage for the
US 158 exit with the new exit number tab, previously placed for the US
220 South exit.
New exit tabs also on sign
for US 220 South exit ramp in Summerfield. Unclear as to what the extra
supports over the I-73 pull-through sign are for.
Recently installed Exit
120 gore sign for US 158 exit on I-73/US 220 North in Summerfield.
Also newly installed a
Exit 122 gore sign northbound on I-73/US 220 for the NC 65 to NC 68
exit.
Clearer view of 1/2 mile
advance sign for NC 68 South also with new Exit 123 tab. The overhead
signs have not received exit tabs as of this time.
Newly placed Exit 123 gore
sign for NC 68 South exit at beginning of I-73 South.
Also newly placed, this
distance sign after the NC 65 exit on I-73/US 220 South.
Further south, this 1-mile
advance sign for the US 158 exit also has a new Exit 120 tab. (The
overhead signs at the exit still need to have tabs installed).
Newly installed auxiliary
sign for Winston-Salem approaching the US 158 exit ramp.
Last new gore sign
installed for Exit 119, US 220 South on I-73 South in Summerfield.
Newly placed North I-73
reassurance marker (no US 220 sign present, at least for now) after US
158 exit near Stokesdale.
Another new reassurance
marker follows the NC 65 exit. Some signage, including tabs for the exit
signs still need to be placed.
Newly placed End (North)
I-73 sign after merge with NC 68 North on US 220 North, may be the most
northern I-73 sign standing for a long time depending on whether VA
commits to construct its section of the interstate.
Also in place are new I-73
mile markers, here southbound for Mile 122.5 approaching the NC 65 exit.
I-73 signs have also been
put up on approaching roadways, here on NC 65 East approaching the new
exit ramps.
New I-73 trailblazers
along with pre-existing US 220 signs at interchange with NC 65 East.
Driving northbound:
View just after merge of
US 220 North with Future I-73 showing both lanes now open crossing the
Haw River bridge.
View of completed lanes
further north after US 158 exit, heading toward NC 65.
Now approaching the NC 65
exit on-ramp heading toward NC 68, this was the last section that had to
be completed before both lanes could be opened.
From the newly opened
left-lane of US 220 (Future I-73) North showing rumble strips and guide
rails installed along the center median.
Approaching merge between
NC 68 and US 220 North at what will be the end of I-73 North in
Rockingham County.
Sign marking the official
end of the US 220 freeway about 1/4 mile after the merge of he ramp from
NC 68 North.
Turning around and heading back south:
Overview of the merge
between US 220 (End of Future I-73 North) and ramp from NC 68 North as
seen from US 220 South approaching NC 68 South exit.
Overhead signs at NC 65
exit on US 220/Future I-73 South placed in January 2018, awaiting I-73
exit tabs.
Previous photo from
December of newly placed overhead sign gantry awaiting signs at NC 65
exit ramp on US 220 (Future I-73) South in Stokesdale.
View looking south over
completed lanes heading toward Haw River bridge and current start of
I-73 South.
Storage area further
south along US 220 holds yet to be installed exit signs and I-73 mileage
exit tabs.
New 1-Mile advance sign
for the US 158 exit on US 220 North just after merge of I-73 in
Summerfield, the sign has an Exit Only Tab for the additional 3rd lane
from the US 220 North on-ramp.
Further north a nearly
identical 1/2 Mile advance sign for US 158.
No heading south, the new
overhead signs southbound for US 220 South exit. This US 220 1/2 mile
advance sign has the I-73 Exit number tab, not present on the other
overhead signs.
Overhead signage at the
US 220 South exit off-ramp, this sign does not yet have an exit tab.
Overhead signage placed
on US 220 (Future I-73) North in mid-December for the US 158 and NC 65
exits.
Heading back south at US
158 these overhead signs were also placed in mid-December. They do not
have I-73 exit tabs. Note both southbound lanes are open.
View of completed I-73
North roadway approaching bridge over Haw River beyond merge with US 220
North.
Climbing the hill after
the Haw River on completed I-73 North roadway approaching US 158 exit.
Now approaching US
158 where exit signs have still not been put up and area is marked
with US 220 and 158 trailblazers.
The completed I-73
North roadway continues beyond US 158 exit at site of former
traffic crossover from North to completed South lanes.
Heading further
north on US 220 approaching completed NC 65 exit showing median
guide rails have been installed.
View on US 220
North at completed NC 65 exit ramp where a temporary gore sign has
been placed in the future right-hand lane.
Continuing on
completed Future I-73 North roadway beyond NC 65 exit at site of
completed on-ramp.
Still further north
on US 220 approaching the NC 68 exit showing construction barrels
now on both sides of the highway.
View
at what will be the end of I-73 North at the NC 68 on-ramp. The
final pavement is down, work still needs to be completed on shoulder
in this area.
On US 220 South
roadway approaching NC 68 exit. Future I-73 North roadway lanes
still not repainted to reflect one-way status.
Beyond the NC 68
exit, Future I-73 South lanes still striped for 2-lane travel. VMS
is temporary exit sign for NC 65.
Traffic on US 220
South prior to the NC 65 exit is shifted to the Future I-73 South
left-hand lane.
View just prior to NC
65 on-ramp showing completed Future I-73 South lanes heading toward
US 158.
Further south after
the completed noise wall US 220 South traffic still uses Future I-73
South lanes heading up hill to the US 158 exit.
Approaching US 158
exit, currently only marked by a trailblazer, at site of former
cross-over to Future I-73 North lanes for US 220 South traffic.
Now beyond the US 158
bridge approaching the interchange on-ramp and heading south toward
the Haw River.
Heading down hill
toward Haw River and US 220 South exit showing new pavement having
been placed in Future I-73 South left lane.
Right lanes await
final paving on US 220 to become I-73 South, no exit signage, still
only trailblazers, yet for US 220 South as off-ramp approaches.
View taken on US 220
North approaching NC 68. Final pavement for Future I-73 North lanes
has been placed with northbound traffic shifted over to the new
lanes.
Temporary left lane
markings along US 220 North approaching NC 68. Final shoulder work
appears to be underway.
US 220 North traffic
using Future I-73 North left lane approaching on-ramp from NC 68
North. Shoulder work continues prior to and beyond exit ramp.
Widening work
continues for about a 1/2 mile beyond NC 68 on-ramp which will be
the northern end of I-73 for the foreseeable future.
View taken from US 220
South of Future I-73 North NC 68 on-ramp merge. Southbound roadway
lane markers still reflect previous two-way traffic.
Heading south on US
220 beyond NC 68 exit. Future I-73 South lanes look ready except for
need to repaint lane markings between right and currently closed
left lanes.
Further south on US
220 approaching NC 65 exit. Exit signs have still not been put up
with the ramp entrance marked by just an NC 65 trailblazer. Again,
lanes appear ready except for proper lane striping.
View of US 220 South
approaching US 158 interchange and former traffic shift. Median
guide rails have been placed in this section.
Looking south on US
220 just prior to the Haw River showing opening of I-73 connector
roadway to NC 68. There currently are no exit signs at the
interchange, just trailblazers (on the left behind the 3rd orange
barrel) as the case with the NC 65 interchange to the north.
View from US 220 South
now shifted onto Future I-73 South lanes over NC 68 of overhead
signage for new exit ramps opened for NC 68 and NC 65, exit tabs
will be added later.
View on US 220 South
now on Future I-73 South lanes between NC 68 and NC 65 showing NC 65
trailblazer temporarily marking the new off-ramp.
View from completed NC
65 bridge looking south showing US 220 traffic using Future I-73
Southbound lanes and completed on and off-ramps heading toward US
158.
View heading further
south on US 220 between NC 65 and US 158 showing traffic using
Future I-73 lanes next to completed sound barrier wall.
Now heading back
northbound, traffic is now using the Future I-73 North bridge over
US 158, with the exit ramps open the temporary signals have been
removed from the wires ahead.
Further north on US
220 beyond US 158 at what was the shift of traffic to the original
US 220 lanes, now shifted to the new Future I-73 South lanes while
the old US 220 lanes are reconstructed for northbound traffic.
From US 220 North
showing work starting on removing hill under former US 220 lanes to
match the grade of the Future I-73 South lanes.
New NC 65/NC 68 South
trailblazer marks temporary off-ramp from Future I-73 South lanes to
newly opened NC 65 off-ramp from northbound lanes. To match the
future exit sign, there should be a 'To' between the NC 65 and 68
shields. With the opening of the NC 68 South off-ramp there is no
longer direct access to NC 68 from US 220 North.
Closer look at newly
opened ramp to NC 65 from Future I-73 Northbound lanes from US 220
North.
Heading under the new
NC 65 bridge on US 220 North using Future I-73 Southbound lanes.
Further north beyond
NC 65 on US 220 showing work starting on creating Future I-73
Northbound lanes.
View approaching NC 68
from US 220 North now using Future I-73 Southbound lanes.
View from heading
across new bridge over NC 68 that will carry Future I-73 Southbound
lanes. Old US 220 to carry I-73 North traffic below.
View from end of NC 68
North approaching new bridge for Future I-73/US 220 South traffic
with newly opened NC 68 ramp on left. Trailblazer for South US 220
has been removed on the right.
Now back on US 220
North beyond the NC 68 North on-ramp approaching the end of the
construction zone. Perhaps some day I-73 will make it the 30 miles
to Martinsville.
Heading back south,
the view of US 220 traffic using the newly opened Future I-73 South
lanes prior to the new NC 68 exit.
Looking east at current
intersection of NC 68 with US 220 showing completed bridge for
Future I-73/US 220 South traffic and ramp to left which will carry
traffic to NC 68 South.
Looking south from NC 68
toward future I-73/US 220 roadway which will carry southbound lanes
upon completion of new interchange.
About to travel under the
completed Future I-73/US 220 South bridge prior to NC 68 North
meeting US 220.
Looking south on
current US 220 roadway paralleling new I-73/US 220 South lanes. This
will become the northbound lanes merging with NC 68 traffic when
interchange project is completed.
Looking
south on current US 220 roadway just after the NC 68 intersection.
Work is proceeding on building new southbound lanes on other side of
guardrail.
Further south
approaching existing distance sign, paving going on to the right of
the orange barrels for new southbound lanes. Once these are
completed traffic will shift over so hill in the distance can be
graded down to match elevation of the new lanes.
Further south on
current US 220 approaching NC 65, progress on the new southbound
roadway here cannot be seen due to the concrete barriers. The
northbound lanes here to will need to be rebuilt.
Some of the temporary
signage on current US 220 South for NC 65. Though ramps are built,
traffic from NC 65 uses traffic signals to enter US 220. (Photos of
ramps below).
Heading south on US 220
toward the nearly completed NC 65 bridge over the future I-73/US 220
North lanes.
Now looking north at
current NC 65 intersection with traffic signals managing access to
US 220.
Looking west toward
nearly completed NC 65 bridge over future I-73/US 220 lanes. Traffic
uses future northbound on-ramp beyond the current construction.
Traffic on NC 65 West
directed to use future on-ramp to I-73/US 220 North to access US 220
in both directions.
Looking south from top of
future I-73 North off-ramp to NC 65. Ramp is not currently open to
traffic.
Looking west from top of
Future I-73 North off-ramp over nearly completed NC 65 bridge.
View of NC 65 Future
On-ramp to I-73/US 220 North, now used by traffic also accessing NC
65.
Driving down the Future
I-73/US 220 North on-ramp from NC 65 to access US 220 South.
View at the end of the
Future I-73/US 220 North ramp, which is blocked off for northbound
traffic which must take a right at the temporary traffic lights.
Another view of the open
NC 65 bridge over Future I-73/US 220 work is continuing in the
future south lanes.
Looking northbound at
approach to NC 65 bridge and unopened future off-ramp from I-73/US
220.
View Northbound farther
from NC 65 showing work in future southbound lanes continuing and
beginning of sound barrier walls, see below for more.
Still northbound, here is
the one Future I-73 sign along this segment of US 220.
View looking south again
beyond NC 65 on US 220 South showing traffic using future northbound
lanes and former left turn lane for NC 65 blocked off.
Looking from US 220
South to new sound barrier walls having been placed along Future
I-73/US 220 South lanes.
The sound barrier walls
continue on approaching the US 158 interchange.
Reversing direction and
looking at the installed sound barriers from US 220 North.
View looking north from
bottom of hill after US 158 interchange showing progress in
completing the Future I-73/US 220 South lanes.
Heading back south on US
220 approaching US 158 interchange showing work continuing on Future
I-73 South lanes.
Approaching US 158 US
220 traffic is switched from completed Future I-73 North to I-73
South lanes to go over completed segment of US 158 bridge.
Both directions of US
220 traffic using Future I-73 South bridge over US 158. Future
Northbound bridge appears near completion.
While South US 220
traffic can use completed US 158 off-ramp, northbound traffic must
use connection from future South on-ramp to connect to US 220 North.
Truck on the right is using the completed on-ramp.
Traffic on US 158 East is
directed via this trailblazer to Future I-73 South on-ramp to
connect to US 220.
Looking up completed
on-ramp that will take traffic to I-73/US 220 South when work on the
interchange is completed.
Another look at completed
Future I-73 South bridge over US 158 beyond on and off-ramps.
View of traffic signals
placed on US 158 at location of Future I-73 South on and off-ramps.
View from temporary turn
around to US 220 North of end of completed South on-ramp from US 158
to US 220 and Future I-73 South.
Looking south toward Haw
River from just beyond US 158 exit shows progress in completing
southern end of segment with potential cross over for future I-73/US
220 North traffic when Segment 3 opens in April.
Continuing south, the
Future I-73/US 220 South interchange comes into view. Guardrail work
along the Future I-73 lanes appears completed.
Getting closer to the
interchange with view of completed Haw River bridges and work
proceeding to add median guardrails to the Future I-73 South lanes.
Closer view of bridges
and interchange shows lane markings now placed on Future I-73 North
lanes.
US 220 traffic departs
on Future off-ramp from I-73 South. Road closed barriers and orange
barrels should not be there for too much longer.
Looking north toward
the end of NC 68 showing completed future I-73/US 220 South bridge
over roadway and future NC 68 South off-ramp.
View from US 220
South approaching current NC 68 intersection showing nearly
completed ramp towards the I-73/US 220 flyover bridge.
Closer view of new
I-73/US 220 South ramp bridge over NC 68 showing progress in
completing landscaping and guardrail work.
View from future
northbound lanes looking south toward future US 158 interchange
showing progress in paving future I-73 southbound lanes now
flanked by sound walls.
View from US 220
South closer to US 158 showing progress in completing the
connection between the new southbound lanes and the existing
roadway.
View further south
on US 220 approaching the future I-73 interchange showing median
guardrails are being installed but that line painting is still
needed for future northbound lanes.
View from US 220
North on Future I-73 Southbound lanes facing toward the US 158
interchange showing the paved Future I-73 Northbound lanes
awaiting lane striping.
View from US 220 North showing end of
completed I-73 Southbound lanes and traffic shifting to existing
US 220 roadway while remaining south I-73 lanes are constructed.
Looking at paving
taking place for Future I-73 South lanes from US 220 North. I-73
North lanes will use existing US 220 roadbed but will need to be
rebuilt to Interstate standards after southbound lanes are
completed and traffic shifted over.
View from US 220
North of sound walls being built along Future I-73 Southbound
lanes approaching interchange with NC 68.
Looking north along
US 220 approaching the future NC 68 interchange, and what will be
the temporary end of I-73 North showing work continuing on
building future I-73 South lanes and completed new bridge over NC
68.
Closer view of
completed bridge that will take I-73/US 220 South over NC 68.
Looking south on US
220 after NC 68 intersection showing work grading future I-73
South lanes, complicated by need to cut down small hill seen in
the distance.
At the southern end
of the segment, looking south on the completed I-73 southbound
lanes approaching the future I-73/US 220 interchange by the Haw
River.
A closer look at
the interchange, showing most of the work is complete, the only
thing needed are to paint the northbound lanes, re-stripe the
south lanes, and add exit signage.
Earlier photos,
dates at the bottom:View from US 220 North facing facing the US 158 interchange showing that the I-73 Northbound lanes are complete and paved. The off ramp to US 158 is also paved (out of frame).
View continuing
north on US 220 past US 158 showing the southbound lanes of I-73
being prepared to be paved. Farther north near the NC 65 bridge,
the road is paved. (NC 65 bridge is still not open despite it
being fully paved).
Closer look on US
220 North of US 158 showing the southbound I-73 lanes being
prepared for pavement.
On US 220 North
approaching future NC 68 interchange. In the distance, the future
I-73 southbound lanes are being paved. However, to the immediate
left beyond the jersey barrier the road is not even graded yet.
View of complete
bridge at the NC 68 interchange that will take I-73/US 220 traffic
over NC 68.
Looking south on US
220 toward the NC 68 interchange showing that US 220 is now the
through route. The approaches to the bridge for Future I-73 South
are still under construction.
Looking south at
the future I-73/US 220 interchange and the bridges over the Haw
River showing that the future lanes are paved and ready for a line
painting.
View from US 220
North facing I-73 north partial interchange (Exit 119), the
northbound lanes of US 220 are already paved while the I-73 lanes
are in process of being paved as well.
View driving further
north on US 220 near US 158 interchange (Exit 120). You can see
I-73 northbound lanes are in process of being paved.
Heading north past
the US 158 interchange, showing the future southbound lanes are
being paved.
Here's a closer look
past the US 158 interchange, they finally have begun doing work on
the future I-73 southbound lanes.
Driving south on US
220, approaching the future I-73/US 220/NC 68 interchange (Exit
123), the bridge is halfway complete and the roadway approaches to
the bridge is already graded.
A closer look at the
future I-73/US 220/NC 68 interchange (Exit 123) showing the graded
future roadway and the future I-73 bridge.
At the other end of
the project, looking at the Future I-73/US 220 interchange (Exit
119). You can see the pavement on US 220 north coming down to
I-73, and the I-73 lanes are being paved.
Bridge supports
being placed at site of future NC 68/I-73 Interchange.
Looking South along
US 220 just after Future NC 65 interchange showing work recently
re-started on grading future roadway.
Looking South prior
to Future US 220/I-73 partial interchange showing indications that
crews are preparing to pave the highway.
Photos Taken in June
2016:
Close look at new bridge being constructed to take traffic on Deboe Road over future I-73 roadway looking south.
View in distance of
construction progress at future I-73 interchange with NC 68.
View from US 220
North approaching the future I-73 interchange with the NC 68-US
220 Connector, the future northbound on-ramp has not been
completed.
View across current
US 220 using future I-73 South off-ramp showing grading of future
I-73 lanes to the south of the bridge.
Looking south toward Haw River and
progress in constructing the future I-73/US 220 South interchange
beyond. Though the bridges over the Haw River are complete, much
work remains in constructing the roadbed for I-73.
View along
northbound US 220 just prior to current US 158 interchange showing
progress in building new northbound lanes to the right.
View looking along US 158 East toward
completed Future I-73 bridges over US 158 and showing further
construction needed to complete new US 158 westbound roadway.
Looking north along
US 220 north toward NC 65 exit showing still incomplete roadbed
for future I-73 Southbound lanes.
Future I-73 sign
recently put up between US 158 and NC 65 exits along US 220 North.
Probably should be Future I-73 Corridor since similar signs appear
on completed freeways.
View of completed NC
65 interchange bridge over US 220 and Future I-73 Northbound
Lanes.
View on US 220 North
approaching NC 68 intersection showing progress in building new
interchange at northern end of I-73.
View of new lanes
being added just north of current NC 68/US 220 intersection to
accommodate new interchange.
View looking south
from access road parallel to US 220 North at progress in
constructing new I-73 interchange with NC 68.
Starting on US 220
North, approaching the future interchange with I-73 near the Haw
River, future NB lanes being paved, traffic shifting to new lanes
in distance.
Looking from a
new frontage road being built along US 220 South, this is the
completed US 220 South bridge over the Future I-73 that both
directions of US 220 are currently using.
View of completed
future I-73 South bridge over the Haw River and future I-73 North
lanes under construction, from future NB frontage road.
Closer view of the
future I-73 Northbound lanes under construction near the Haw
River.
View heading north
on US 220 showing traffic using the completed future I-73
Southbound lanes.
Unique view looking forward
and back of US 220 traffic about to cross future I-73 southbound
bridge with future I-73 lanes under construction in the distance.
Heading further north on US 220 using the
future I-73 Southbound lanes approaching the US 158 interchange.
Further
north on US 220 near the US 158 interchange, the gas station to
the right is currently cut off from US 220, but an access road is
being built to connect it to the new parallel frontage road that
ends just before the US 158 off-ramp.
US 220 traffic
crossing over US 158 on future I-73 Southbound bridge. The future
northbound span is under construction after the original US 220
bridge was demolished.
US
220 traffic switches to use the future I-73 Northbound lanes after
the US 158 interchange.
Approaching the future NC
65 interchange on US 220 North. The off-ramp is paved but not
open. The future NC 65 bridge under construction can be seen in
the distance.
Now heading south
on US 220 here's the view of construction progress, slowed by
design changes, just south of the NC 68 intersection.
View of future NC 65
bridge under construction from US 220 South. The intersection is
currently controlled by 2 traffic lights, the first just behind
the photo and the second beyond the bridge and seen in the photo
above.
View along US 220 South
between NC 65 and US 158 using future I-73 northbound lanes and
future southbound lanes being graded.
US 220 South at the US 158
interchange. The southbound ramp is complete and open to traffic,
drivers wanting to access US 158 northbound must turn left and
yield at the southbound ramp.
US
220 South descending toward the Haw River with the future I-73
South/US 220 interchange bridges in the distance.
Crossing the recently
opened future I-73 South, US 220 off-ramp bridge over the Haw
River temporarily carrying US 220 traffic.
View
of US 220 traffic crossing newly opened future US 220 South bridge
over the future I-73 (US 220-NC 68 Connector) freeway. Though work
on the Connector has started, nothing has started at this end yet.
US
220 traffic traveling through I-73 construction site north of
Greensboro.
Progress on constructing future Haw River bridges for I-73.
Below are photos taken in December 2012 and April 2013 (Courtesy of Strider):
This photo shows
construction progress on the future I-73 South bridge across the
Haw River from US 220 North. (4/3/13)
This photo shows progress
clearing the path for I-73 from US 220 North across the Haw River
from the future I-73 interchange. (4/3/13)
This
photo shows progress clearing the future I-73 roadbed between the
future US 220 interchange and US 158. (4/3/13)
This photo shows progress
clearing the future I-73 South road bed a mile south the US 158
interchange on US 220 North. (4/3/13)
This photo shows
clearing the I-73 road bed approaching the current US 220
interchange with US 158. (4/3/13)
This photo shows
progress clearing areas near the future I-73 interchange for US
158 from US 220 North. (4/3/13)
This
photo shows the future I-73 freeway road bed from US 220 South
approaching the location of the future bridge across the Haw
River. (4/3/13)
This photo
shows the future I-73 South ramp that will use the future bridge
over the Haw River. (4/3/13)
This photo shows the future
I-73 South road bed (the US 220 South ramp will go across this
roadway via future bridge). (12/9/12)
View showing
the proposed US 220/ I-73 bridges across the Haw River. The
current US 220 will apparently become a part of frontage road once
this construction is all done. US 220 will be moved on the new
lanes (with I-73). (12/9/12)
This picture shows
the visible future US 220 South ramp on the far right, where it
will curve to the right, then left to across the future I-73
roadbed, then back to its current alignment. The construction on
this section really sped up in the last couple months. (12/9/12)
This
photo was taken near the US 158 interchange. Not much is going on
here except the blasting and dragging of the rocks to make a room
for the roadbed. There are a few houses behind the construction
trucks. What they will do about these houses once the road is open
to traffic is unknown. (12/9/12)
Progress
in clearing land near the future US 158 interchange. (12/9/12)
Another view of
progress in clearing the future roadbed near the US 158
interchange. (12/9/12)
This picture was taken at the US 158 interchange.
Not much is going on there either, except clearing of the trees.
(12/9/12)
.
This is
looking at US 220 North, at the bottom of the hill is the Haw
River. Somewhere between the green sign in the distance and the
River is supposedly where the NC68-US 220 Connector will tie into
US 220. North of there the road will be upgraded to a freeway with
a 60 mph design speed.
The
existing interchange for US 158, Stokesdale, Winston-Salem. The
interchange will be rebuilt to accomodate a modern four lane
interstate.
Going
north the next interchange will be with NC 65, Stokesdale,
Reidsville. This is currently an at-grade intersection.
This is the view of
US 220 North approaching the NC 68 intersection. Going south,
currently NC 68 continues straight as a 4-lane highway while US
220 traffic has to make a left turn across NC 68 traffic. This
will initially be rebuilt so that US 220 (I-73) will be the
primary roadway and there will be a signalized intersection to
allow NC 68 North traffic to turn onto US 220. (2/09)
NCDOT also has another contract (R-2309) to widen US 220 south of the Connector to Horsepen Creek Road that is going on at the same time as the widening north of the Connector. This southern part will be constructed to expressway standards and have a 45 MPH speed limit. For a look at the highway section to be widened see photos below. Many area residents objected to this planned widening feeling that it is unnecessarily wide and costly, especially since the road already goes through several residential areas and crosses lakes that are currently part of Greensboro's water supply. An NCDOT spokesman insisted the widening is necessary because US 220 is one of North Carolina's Strategic Highway Corridors.13 The statement though is wrong, currently the corridor applies only to where US 220 is to become I-73. Since I-73 is not using this part of US 220, but rather the Connector (see a fuller discussion on the I-73 Segment 4 page) it seems likely that less traffic, and definitely fewer trucks, will use this part of US 220 than NCDOT's estimates show. Local citizens efforts to press NCDOT for a more reasonable solution seem not to have been successful.14 Much of this widening work was completed in late August 2017 with the opening of the section from Horsepen Creek Road north 1.5 miles to Owl's Roost Road.15
The view of US 220
North at the current end of the widened 4-lane section. The rest
of the route to the Connector is to be widened as well, if NCDOT
does not change its mind in response to citizen concerns. As you
can see in the distance, several new traffic signals have already
been added to the highway.
Another
view of the current US 220 North as it travels through the Cape
Fear River Basin and over several lakes used as Greensboro's water
supply.